About N/A
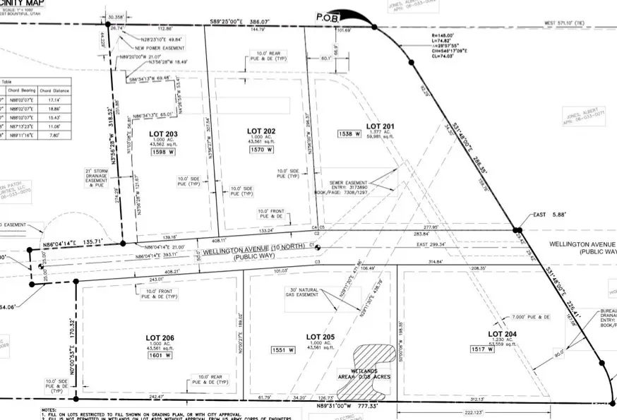
If you missed out on the chance to buy land and build in beautiful Highgate Estates the first go around, you have another opportunity! Phase 2 development has commenced and reservations are open for these fully custom 1-1.25 acre lots. Where else can you build a custom home on an acre and still be 12-15 minutes from downtown SLC? Nowhere! 6 Total lots are planned for this development, with 2 having already been reserved. Please see the attachments for a plat map. Power, gas, sewer and water will be stubbed to the properties, but have not yet been done. 3 of these lots have Millcreek running behind them on the North border of the property. We hope to have these lots ready to build on by the end of the year.
Features of N/A
| MLS® # | 2110459 |
|---|---|
| Price | $600,000 |
| Acres | 1.00 |
| Type | Land |
| Sub-Type | Residential |
| Status | Active |
Community Information
| Address | N/A |
|---|---|
| Area | Bntfl; NSL; Cntrvl; WdX; Frmtn |
| Subdivision | HIGHGATE ESTATES PHASE 2 |
| City | West Bountiful |
| County | Davis |
| State | UT |
| Zip Code | 84087 |
Amenities
| Utilities | Natural Gas Available, Electricity Available, Sewer Available, Sewer: Public |
|---|---|
| Is Waterfront | No |
| Has Pool | No |
Interior
| Fireplace | No |
|---|
Exterior
| Lot Description | Additional Land Available, Curb & Gutter, Sidewalks, View: Mountain, Terrain: Flat |
|---|
School Information
| District | Davis |
|---|---|
| Elementary | West Bountiful |
| Middle | Bountiful |
| High | Viewmont |
Additional Information
| Date Listed | September 9th, 2025 |
|---|---|
| Days on Market | 46 |
| Foreclosure | No |
| Short Sale | No |
| RE / Bank Owned | No |
Listing Details
| Agent | Lincoln Taylor |
|---|---|
| Office | EXP Realty, LLC |
| Contact Info | 801-669-6442 |
